◀ Go Back

0 Tom Prince Drive

R13

$74,900

General Information

Description

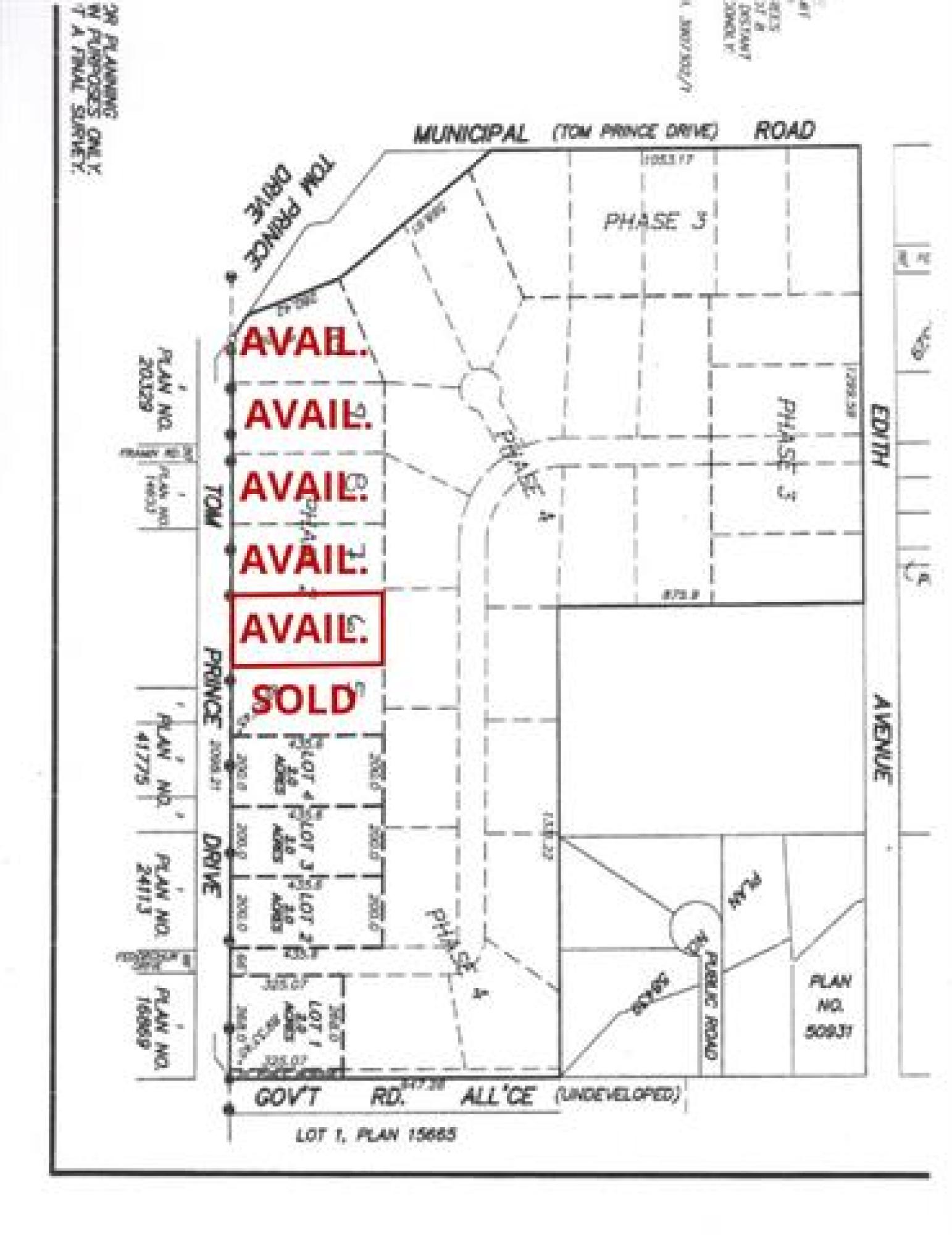
If you're looking to build your dream home in the country on a paved street that's not only close to water but affordable, you've found it. With the price of land making it harder and harder to build these 2-acre lots are the perfect size offering 200' frontages giving you plenty of space between your neighbours. No time restrictions to build. Multiple lots to choose from, Come check them out today!

Home Location

0 Tom Prince Drive, R13

Share this Property

◀ Go Back