◀ Go Back

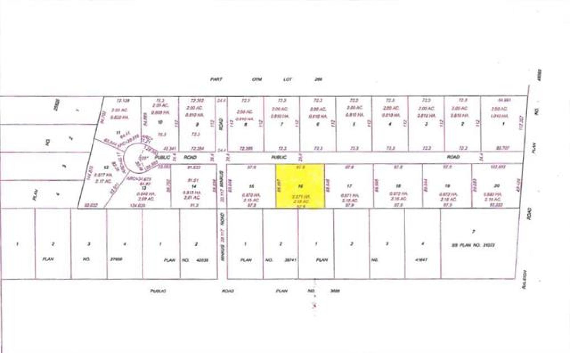
16 Public Road

R02

$239,900

Mortgage Calculator

Jeff Michie

Phone:204-336-2800

Email Email

Office: 204-336-2800 |Fax: 204-338-9881

Greg Michie Realty Group

6 - 3014 Henderson Hwy., East St. Paul, MB

Phone: 204-336-2800

Fax: 204-338-9881

Email| Website

Share this Property

Description

Welcome to Blackbird Estates!! This TWENTY LOT subdivision is the latest project offering rural residential living opportunities for growing families in the robust community of St Clements. These TWO PLUS ACRE lots provide you with the opportunity to build your DREAM home with the builder of your choice. Gas & Hydro available. Several shapes and sizes available with paved roads and brilliant access to Hwy 59. Close to all urban amenities; including shopping, schools, parks, and recreation for all demographics. Ten minutes to the North perimeter, 15 min to Selkirk and a stone throw to Birds Hill Park! Development agreement in place to secure the integrity of this sought after rural location! Don't miss your chance to be a part of this exclusive community where nature meets luxury. Two years to pull permits after taking possession make this a Good Move!

Virtual Tour

General Information

  • Property Type: Lot

Neighbourhood Information

Home Location

16 Public Road, R02

Other Homes you may be interested in

◀ Go Back

Browse Homes

Browse by Building Type